조황관리HOME / 조황관리 / 상세정보

제목 : 거진항 해신호 어구가자미 대박조황!!
등록일 : 2026-03-23
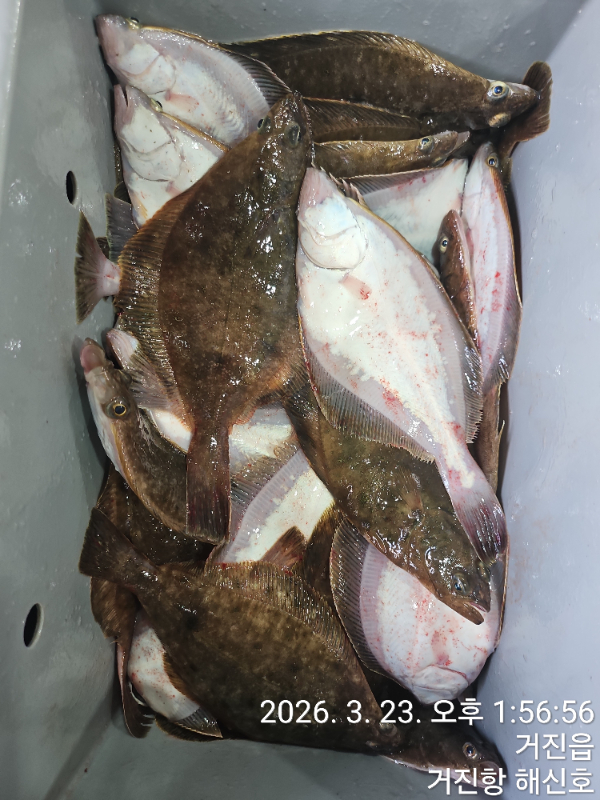
금일 6분 출조 조황입니다 ????
- 장원 33kg ~ 최저 13kg
♡6분 총조과 125kg!
조사님들 평균 20kg 이상으로
손맛 제대로 보고 가셨습니다 !
 
시즌 때보다 오히려 더 잘 나오는
아이러니한 상황이네요~!
 
막바지 어구가자미, 지금이 찬스!
손맛 + 세꼬시까지 즐길 수 있는
마지막 기회 놓치지 마세요!
 
 출조 일정 안내
✔ 화 / 수 / 목 → 어구가자미 출조
✔ 금요일 → 체험낚시 단체예약
✔ 토 / 일 → 대구라바 출조
✔ 30일(월) → ☆마지막 어구가자미 출조
✔ 31일(화) → 대구라바 출조
남은 일정 얼마 없습니다!
막판 대박 조황 함께하실 분들
지금 바로 예약 주세요^^

1000077270.jpg


1000077271.jpg


1000077272.jpg


1000077273.jpg


1000077274.jpg


1000077275.jpg


1000077276.jpg


1000077277.jpg

 



*** 거진항 해신호 예약 안내 ***


예약문의 : 010-3193-2167

오시는길 : 강원도 고성군 거진읍 거진항1길 62-2

모바일.gif


Top