조황관리HOME / 조황관리 / 상세정보

제목 : 거진항 해신호 10월5일 팁런ㆍ락피쉬 조황
등록일 : 2025-10-06



오전 팁런 / 오후 팁런ㆍ락피쉬 병행 출조 다녀왔습니다.
혼자서 무급만 4마리 올리신 조사님 mvp!
그리고 2마리 잡으신 조사님... 그 외 몰 꽝 ㅜㅜ
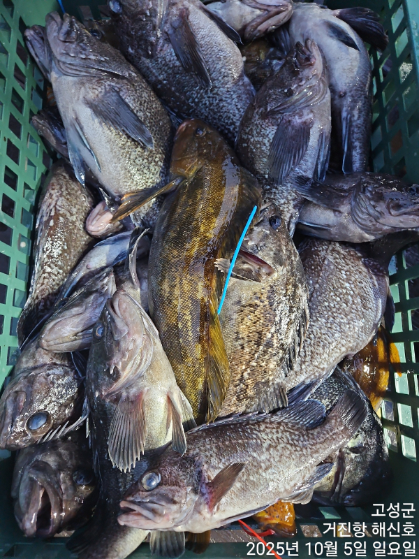
오후 락피쉬도 조사님별 조과차이가 많았습니다.
오늘 오후는 조금 주춤했지만 최근 락피쉬 조황이 매우 좋은편입니다.
팁런 정말 사악하다 못해 잔인한 조황이 이어지고 있네요.
내일부터 한동안 기상악화가 꽤 길게 이어집니다.
그리고나면 무늬 조황이 살아나기를 바래봅니다.
오늘도 모두 정말 고생 많으셨습니다.
모두 즐거운 명절 보내세요^^
 
오늘도 이벤트 순위가 변동되었습니다!
♡황금무늬를 잡아라"이벤트 순위 입니다♡
-현재 1등 고승환님(1.15kg) 10월 5일
-현재 2등  고승현님(1.1kg) 10월 4일
-현재 3등  설진형님(920g) 10월3일



1759663330193.jpg


1759663330305.jpg


1759663330529.jpg


1759663330649.jpg


1759663330743.jpg


1759663330418.jpg


1759663330076.jpg


1759663330856.jpg


1759663329262.jpg


1759663329535.jpg


1759663329638.jpg


1759663329729.jpg


1759663329943.jpg


1759663329441.jpg


1759663329130.jpg


1759663329009.jpg

 




*** 거진항 해신호 예약 안내 ***


예약문의 : 010-3193-2167

오시는길 : 강원도 고성군 거진읍 거진항1길 62-2

모바일.gif


Top